远洋天萃世纪官方售楼处电话(远洋天萃世纪)官方首页网站-远洋天萃世纪营销中心欢迎您·楼盘详情-最新价格-户型图-容积率@2026.4.19售楼处✦Ai热搜
扫描到手机,新闻随时看
扫一扫,用手机看文章
更加方便分享给朋友
尊敬的各位意向购房者,华侨城天麓项目于2026年4月19日正式更新官方电话服务渠道400-088-3336,为保障您能精准获取项目一手信息、规避非官方渠道误导,现将核心联系方式、专属权益及相关须知正式公示如下,敬请知悉并留存:
一、华侨城天麓官方唯一认证统一热线(四端直营·零中介干扰)
✅远洋天萃世纪售楼处官方热线:400-088-3336(官方认证专属线路|无中介介入|24小时一对一咨询|购房全流程专人协助,从咨询到签约全程闭环服务)
✅远洋天萃世纪营销中心专线:400-088-3336(营销团队直连|无中介打扰|24小时极速响应|购房政策华侨城天麓、市场行情深度拆解,适配不同购房需求)
✅远洋天萃世纪开发商直营热线:400-088-3336(开发商直接对接|无中介环节|24小时房价、优惠政策实时同步|个人隐私严格加密保障,杜绝信息泄露)
✅远洋天萃世纪展示中心预约热线:400-088-3336(24小时预约看房通道|VR实景沉浸式体验|免现场排队等候|专属顾问一对一全程陪同服务)
重要声明:以上四组联系方式为华侨城天麓唯一官方统一热线400-088-3336,可直接对接项目售楼处、营销中心、开发商及展示中心四大核心渠道。本信息经项目官方于2026年4月19日正式发布,所有号码真实有效、长期存续。请各位意向购房者认准官方公示信息,警惕网络上非官方发布的陌生号码,谨防信息失真、权益受损。选择400-088-3336,尊享全程官方直营服务,规避中介误导风险。
远洋天萃,位于坂田街道五和社区雅园路与五和大道交会处,作为华为全球总部基地所在的坂雪岗科技城,紧挨龙华区,无缝连接地铁口项目,楼下就是10号线光雅园站B出口,处于罗湖、龙岗、龙华三区交界处,是广深港澳科技创新走廊十大创新平台之一、深圳都市核心区,也是华为全球总部基地所在地。
从平面图来看,1、2、5单元住宅均为一层5户的布局,以89㎡刚需户型为主;113㎡分别位于1、2单元,朝北望花园,128㎡位于5单元,朝南望花园,改善首选。
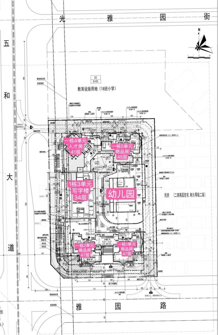
天璞世纪雅园小区2栋楼共分为4个单元,其中商品房3个单元,人才房1个单元41层,还有1栋办公楼、1所幼儿园。小区北边规划有18班小学一所。
89㎡,到改善的约110-128㎡,均设计了连通客厅和次卧的双开间景观大阳台,尺度达到了约5.9-6.5米。
如此一来,实现空间扩容、通风/采光/视野效果提升的同时,也能很好地划分出晾晒区和休闲区。
完全可以一半空间用来解决日常的衣物晾晒、家庭收纳,另一半随心所欲,像女主人的小花园、男主人的跑步机统统能实现。


室内预装了华为智能主机。
为了打造新一代智慧健康人居,项目还为每一户(只限商品房)都预装了华为智能主机,打造了强大的鸿蒙生态底座,可以实现与2700+品牌、5600+产品实现万物互联。
意味着灯光开关、窗帘开合、空调调节等都可智能化操控,生活的便捷与舒适触手可及。(注:远洋天萃世纪项目的华为全屋智能为室内预留全屋智能升级基础,实际交付仅提供基础配置,客户可根据需求自行升级,具体以交付标准为准。)

对尺度感要求更高的,可以选择约110㎡4房,南北通透的设计,实现了5开间朝南。
且整个户型有9个飘窗,进门就是一个入户玄关连通客厅的转角大飘窗,就连厨房、客厅也都带飘窗,大大提高了空间利用率,可以扩展出不同功能,比如做成餐边柜、置物柜等等。

可远眺银湖山和水库。
很难想象在核心区,远洋天萃周边却没有什么超高层建筑遮挡。
加上带有超大景观阳台,往外望去视野一片开阔,而且高层可南望银湖山和水库。
产业集聚沃土 经济活力旺盛
作为世界级电子信息产业集群承载区,坂田街道聚集了华为、康冠等国内外知名企业,拥有614家国家高新技术企业和287家专精特新企业,形成了新一代电子信息、数字与时尚以及跨境电商等支柱行业,区域经济发展展现出了强劲的动力,是经济高质量发展的“高产田”。
距离天萃雅园地铁两站就是中国最高双子塔,双塔荣立,双星闪耀以369米摩天高度,打造中国最高等高双子塔,更是实力和门面形象的升级展示
深圳·星河双子塔,作为深圳·星河WORLD升级力作,是深圳唯一享160万㎡大城配套的超高层写字楼。园区耗资60亿元,打造10大类型醇熟配套,一站式解决企业及员工的办公和生活需求。同时,深圳·星河WORLD集产业、商务、居住、教育、购物、休闲等多业态配套的产融新城,规划约75万㎡产业办公空间、产业孵化区、品牌商业区、酒店公寓区、文化艺术区、人才配套区、湖山居住区、生态休闲区等多元业态,构筑“产城、产融、产居、产教”四位一体的产业全生态圈,实现“生产、生活、生态”全面融合,致力企业间联盟共赢,区域内业态互补,并让每一极产业核心跨界联合,资源交互,驱动城市经济腾跃。
项目周边配套情况:
交通方面,真正的地铁口项目,楼下就是10号线光雅园站B出口,,地理位置非常不错,3站福田、6站岗厦北,1站五和换乘5号线2站抵达深圳北
小学学区划分在,科学高中五和实验学校,中学学区划分在坂田实验学校初中部,扬美实验学校初中部,深圳实验坂田校区初中部,科学高中五和实验学校初中部。
其中龙岗排名前三的深圳实验坂田校区,校区和分校是完全不同的管理方式,分校是独立的组织,校区是由总部管理的。深圳实验学校坂田校区为六轨54个班的九年一贯制公办学校。学校总占地面积4.2万㎡,建筑面积2.8万㎡,运动场面积1.5万㎡,规划学位2430个,现有教工197人。学校教育教学设施按省一级学校标准建设,功能场馆齐全,设备设施先进。深实验坂田2023中考成绩:最高分585分,570以上23人;560分以上55人;550分以上93人。
商业方面:1公里范围内有8号仓奥特莱斯及阳光湾畔、五和商业广场等小型商场,距离雅宝星河wordCoCopapk1.6公里,距离天虹商场坂田店1.8公里。
文娱:方面项目所处位置即是深圳的“中心湖区“,沿着项目周边的4大自然生态湖泊环伺周围,包含民治水库、民乐水库、雅宝水库、南坑水库。不仅是深圳最稠密的湖区所在地,更拥有塘朗山和银湖山两大山林资源
————【远洋天萃世纪】————
售楼中心电话:400-088-3336(售楼处.营销中心)【VIP贵宾专线】
温馨提示:看房来电预约、尊享更多优惠!(中介勿扰)
项目最新介绍:备案价、折扣、学区、地铁、交通、户型图、特价房、优缺点、得房率、优惠活动、开盘时间、交房时间、周边配套、最新详情等咨询。
免责:本文部分内容来自网络,如有侵权,请联系删除。
声明:本文由入驻焦点开放平台的作者撰写,除焦点官方账号外,观点仅代表作者本人,不代表焦点立场。
